用两年多的艾灸经验,帮大家总结避雷!改善很大
1个月前 收录
作为一个艾灸两年多的 “老炮儿”,贴身感觉艾灸对我帮助超大,身体都改善了不少~每次看到热门的艾条,我非得买回来试试,结果这两年试过的艾条可太多
查看详情>>
阅读:6426回复:33
都去试试全身精油按摩,这家店的手法太正宗了
1个月前 收录
刚开学事情很多,和同事抱怨太累了。做了一个美丽田园的精油SPA,真的是一次超棒的体验!。我觉得一个多小时的SPA体验,不仅是身体的放松,更是一场心
查看详情>>
阅读:1.2万回复:22
全过程带你了解种植牙,帖内还有医生推荐
1个月前 收录
谁说人类没有第三副牙齿?今天就带你们去了解成年人也能“长”出的新牙齿:种植牙我国成年人牙周健康率只有14.5%,近4成的成年人和9成老年人存在牙齿缺失问题,每十位老人中就有一人牙齿掉光!不管因为什么原因造成的牙齿缺失,都会造成:提前衰老,老年痴呆,寿命缩短,牙周疾病,
查看详情>>
阅读:3.3万回复:63
为什么指甲上的月牙消失了?坚持这样做可以恢复
1个月前 收录
原来小月牙消失是这个原因正常情况下,月牙应该是除了小指都有。大拇指上,月牙应占指甲面积的1/5,食指、中指、无名指应不超过1/5如果手指上没有月牙或只有大拇指上有一点说明人体内寒气重、循环功能差、气血不足,以致血液到不了手指的末梢;如果月牙过多、过大,则易患甲亢、高血压等
查看详情>>
阅读:7526回复:28
美丽田园活动又来啦,一千多的面部护理才198
1个月前 收录
重庆的春天终于来了!但是在这个换季的时候,一定要特别好好的给自己的皮肤做个调理,补水保湿,修护滋润,都是刚需!所以今天,被问了N遍的美丽田园护理活动又回来啦!原价1160元的温补胶原面部护理,现在只需要198元!!!这次的价格非常划算,购物狂限量发售,想要抢购和了解的
查看详情>>
阅读:5.5万回复:53
全国知名眼科专家彭艳丽教授,深度解读ICL手术
1个月前 收录
【购物狂专访】第27期今天桃子为大家隆重介绍一位全国知名近视手术专家:彭艳丽教授彭艳丽教授不仅是眼科主任医师、眼科学博士、博士研究生导师还是激光、ICL全系近视手术专家!!!彭艳丽教授从事近视矫正临床工作20余年,为数万位近视朋友成功摘镜数万例ICL晶体植入手术专家,全
查看详情>>
阅读:4.9万回复:102
做了近视手术,视力恢复到1.2,后悔不早来
1个月前 收录
我近视都十几年了,20岁那会就心心念念想做近视手术,可当时总觉得这技术还不够成熟,心里没底,就算身边有人做了,我还是担心得要死,所以就一直拖着。这一拖啊,就拖到了32岁。 直到去年,我一朋友在大坪爱成医院做了近视手术,术后每次出来都种草我,不带眼镜太爽了,看东西也清楚,经常给我说不戴眼镜有多么的方便,我这颗心
查看详情>>
阅读:2907回复:20
这家店的身体SPA,我超推荐,舒服得都睡着了
1个月前 收录
家人们,前段时间工作压力超大,天天久坐,浑身又酸又胀,整个人都不在状态。听说美丽田园的身体SPA很不错,狠狠心就去体验了一把,做完只想说,相见恨晚啊!一进店,扑面而来的就是高级感。装修风格简约又温馨,柔和的灯光、舒缓的音乐,还有淡淡的香薰味,瞬间就把我工作时紧绷的
查看详情>>
阅读:2.7万回复:30
手臂一直瘦不下来,做完这个仪器就后悔了
1个月前 收录
标题党一下,确实后悔了,后悔为什么去年没有做要说我本人也不胖,就是手臂上的肉肉,松松垮垮的,穿吊带、背心都不好看今年一定决心在夏天之前去做了
查看详情>>
阅读:4715回复:35
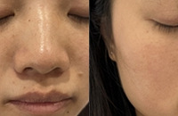
油痘皮适合做这个抗衰项目,能稳定皮肤缩小毛孔
1个月前 收录
不是所有人哈,就单纯以我为例的油痘皮来讲,黄金微针真的太合适了!其实刚刚打完那会,我不会这么觉得,有一点是觉得有点痛,另外就是当时觉得效果好
查看详情>>
阅读:4073回复:20
适合长期做的超光子+水光,能提亮肤色细腻毛孔
1个月前 收录
光子嫩肤+水光,妥妥的神仙搭配!这两个项目,不仅适合长期坚持搭配着做,还一次有一次叠加的效果不仅能够改善肤色不匀,暗沉,毛孔粗大,干燥缺水,小细纹,红血丝等问题,而且操作起来,体验感也比较舒适,不会有强烈的痛感让你的问题肌肤,在一次又一次的治疗中,慢慢恢复健康!今天,我们就专门为大家打探了“黄金超光子+富勒烯炫白水光”的全过程看看做一次,皮
查看详情>>
阅读:4.5万回复:53
黑曜双波微针X,简直太棒了!能真正祛红,缩毛孔
1个月前 收录
今天给大家打探一个新项目:黑曜双波微针X就算是问题肌肤,也能实现抗衰的梦想!中国成年女性中,皮肤处于亚健康或皮肤疾病状态的问题肌肤,远超三分之二如果你是敏感肌,皮肤有红血丝,干燥,毛孔粗大,暗沉,色斑,松弛,细纹,黑眼圈等等问题那么,这次的打探帖,请一定不要错过
查看详情>>
阅读:2.0万回复:72
作死警告!这20个习惯正在偷走你的寿命
1个月前 收录
【健康警钟】敲响啦,这些坏习惯真的要改改了!1.长期禁欲长期禁欲=多巴胺工厂永久减产 2.长期不进行体育锻炼 肌肉闲置=骨骼开启骨质疏松倒计时 3.经常
查看详情>>
阅读:6905回复:34
做了热玛吉之后,我觉得我现在的脸也太瘦了吧
1个月前 收录
好久没有做医美啦,决定做抗衰项目的时候就想好了是要做热玛吉的,不过没有选择五代,我是做的四代~几重认证都看了,确实没问题我做下来还好,不痛,就
查看详情>>
阅读:4426回复:18
才恢复了一周时间,背就变薄了!像瘦了5斤一样
1个月前 收录
一到夏天就发愁,斜方肌太发达了,肩膀厚、溜肩,穿衣服也不好看玩伴纠结终于下手试一下打完当时我就觉得挺成功的,不知道是不是心理作用,打完出来照镜子就觉得没得以前恁个鼓鼓囊囊的,就是有针眼。我感觉,瘦肩针还适合脖子短的姐妹,打完看着会显得脖子长一点,背也薄了,还会
查看详情>>
阅读:9665回复:45
祛斑其实很简单!一次就能让脸变干净N倍
1个月前 收录
春季是祛斑治疗的最佳时间!春生斑、夏长斑、秋隐斑、冬藏斑!脸上的斑斑点点,生根发芽就像四季循环春天紫外线稍弱,如果这个时候不提前做好祛斑工作,夏天恐怕会长更多!!春季万物复苏,人体代谢加速,血液循环更加畅通,是做祛斑的最佳时间!今天管管就为大家打探了一个针对综合斑点,疗效非常明显的祛斑套餐:超皮秒+超光子+富勒烯炫白水光不管你是哪种类型的色
查看详情>>
阅读:1.7万回复:75
美发团购才299!健康质感染+剪发+护理品牌
1个月前 收录
3月春暖花开!是适合换个漂亮的发型啦~司溉形象设计超值福利来啦!原价1546元的意大利原装进口奥帕夫,现在团购价只要299元!!!299套餐内容:1.沟通
查看详情>>
阅读:8584回复:49
这次纹的野生眉超自然,我以为我自己就长这个样
1个月前 收录
我要大大安利我这次去的纹眉店!!真的太棒了!!!把图片拼一起这么一看,还真的是差别好大啊感觉我自己眼睛都瞬间有神了
查看详情>>
阅读:7816回复:32
陪弟弟做了近视手术,这个价格真的很香啊
1个月前 收录
我弟弟马上高中毕业,想要考军校,不得不做近视手术,所以一直让我帮他打听,我在购物狂上面也看到很多商家,添加了几个咨询,但是一直犹豫不决,感觉每个医院都有自己的优势,仪器,医生,和价格,当然价格是最关心的,然后带弟弟也去检查了一下眼睛,他的条件还不错,激光手术的方式都可以做,最后下定决心是因为听到亲戚说的他儿子在爱成眼科做的,还不错,价格不
查看详情>>
阅读:3281回复:31
建议减肥期间的人, 不要生吃彩椒!副作用真大
1个月前 收录
不要生吃彩椒,不要生吃,不要生吃!!!关于我生吃彩椒长湿疹,肠道淤堵住了!折腾本老小子一个多星期,睡也睡不好,肚子还疼!根据大夫的温馨提示,
查看详情>>
阅读:1.2万回复:28
一千多度的近视,恢复到了2.0,说说真实感受
1个月前 收录
已经做完近视手术三个多月了,所以想来分享一下自己的感受。我是2024年10月24日咨询的,第一次约到医院是11月6日,因为是高度近视,一千多度,几十度的散光。在决定做手术之前就了解过,我这个度数估计是只能做晶体植入了,在网上查了很多高度近视做晶体的案例,内心还是有点忐忑,
查看详情>>
阅读:3886回复:29


